1/3
为幸福生活“提速”!宝山又有3处多层住宅将加装电梯
上海宝山2024-03-12 11:12:01

老旧小区加装电梯是民生工程,也是民心工程。近年来,宝山区一直在积极推进既有住宅加装电梯,取得显著成效。近日,宝山区淞南七村211号、宝山二村11号、海江二村103号将加装电梯,目前设计方案正在公示中,为宝山“加梯”开启加速度。详见↓

图片

01

宝山区淞南七村211号

单元加装电梯设计方案

图片

图片

公示名称:宝山区淞南七村211号单元加装电梯设计方案

公示网站:宝山区淞南镇人民政府门户网站

公示现场地点:宝山区淞南镇淞南七村小区公示栏

公示期限:2024年3月06日至2024年3月15日

收集意见截止期:2024年3月22日

意见反馈途径

信函方式:上海市宝山区淞南镇人民政府

通讯地址:上海市宝山区淞南镇淞南路500号

邮政编码:200441

电子信箱:snzjgzx@163.com(邮件名称、主题中应标明公示名称)

联系电话:36216520

项目情况咨询

上海市宝山区淞南镇淞南七村第一居民委员会

通讯地址:宝山区淞南七村87号

电子信箱:songnanqicunjuwei@126.com(邮件名称、主题中应标明公示名称)

联系电话:36140364

02

宝山区宝山二村11号

加装电梯项目设计方案

图片

图片

建设工程名称:宝山区宝山二村11号加装电梯项目设计方案

公示网站:上海市宝山区人民政府门户网站

公示现场地点:上海市宝山区宝山二村小区公示栏

公示期限:2024年3月7日至2024年3月16日

收集意见截止期:2024年3月23日

意见反馈途径

信函方式:上海市宝山区人民政府友谊路街道办事处

通讯地址:上海市宝山区牡丹江路1299弄1号

邮政编码:201999

电子信箱:bsyyljd@163.com(邮件名称、主题中应标明公示名称)

项目情况咨询

上海市宝山区宝山二村(南块)第四届业主委员会

通讯地址:上海市宝山区宝山二村33号

邮政编码:200940

联系电话:021-66650163

代建单位情况咨询

长三甲(上海)建设工程有限公司

通讯地址:上海市宝山区泰和西路3389号5-1303室

邮政编码:201906

联系电话:021-60554356

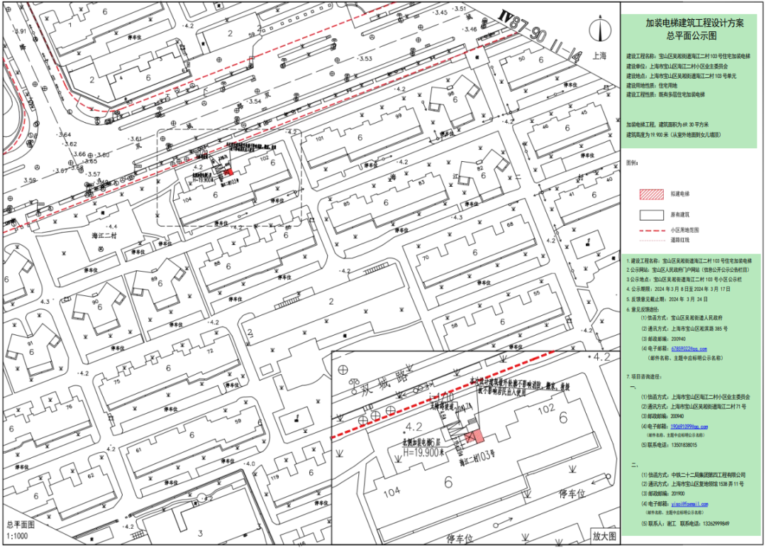
03

宝山区吴淞街道海江二村103号

住宅加装电梯

图片

图片

建设工程名称:宝山区吴淞街道海江二村103号住宅加装电梯

建设单位:上海市宝山区海江二村小区业主委员会

建设地点:上海市宝山区吴淞街道海江二村103号单元

建设用地性质:住宅用地

建设工程性质:既有多层住宅加装电梯

加装电梯工程:建筑面积为69.3平方米,建筑高度为19.9米

建设工程名称:宝山区吴淞街道海江二村103号住宅加装电梯

公示网站:宝山区人民政府门户网站(信息公开公示公告栏目)

公示地点:宝山区吴淞街道海江二村103号小区公示栏

公示期限:2024年3月8日至2024年3月17日

反馈意见截止期:2024年3月24日意见反馈途径

信函方式:宝山区吴淞街道人民政府

通讯方式:上海市宝山区淞滨路385号

邮政邮编:200940

电子邮箱:67859022@qq.com(邮件名称、主题中应标明公示名称)

项目咨询途径

信函方式:上海市宝山区海江二村小区业主委员会

通讯方式:上海市宝山区吴淞街道海江二村71号

邮政邮编:200940

电子邮箱:190691099@qq.com(邮件名称、主题中应标明公示名称)

联系电话:13501838015

信函方式:中铁二十二局集团第四工程有限公司

通讯方式:上海市宝山区复地领馆1538弄11号

邮政邮编:201900

电子邮箱:yisoi@foxmail.com(邮件名称、主题中应标明公示名称)

联系人:谢工

联系电话:13262999849

选稿:曾子檬
知识产权、免责声明以及媒体合作联系
继续了解
知识产权声明

【知识产权声明】

除本司(指上海东方网股份有限公司)另行声明外,本司网页及客户端产品(以下简称“本网”),包括但不限于东方新闻、翱翔、东方头条等,所涉及的任何资料(包括但不限于文字、图标、图片、照片、音频、视频、图表、色彩组合、版面设计、商标、商号、域名等)的知识产权均属本司和资料提供者所有。未经本司书面许可,任何人不得复制、转载、摘编、修改、链接、镜像或以其他任何方式非法使用东方网的上述内容。对于有上述行为者,本司将保留追究其法律责任的权利。

东方网、东方新闻、翱翔,以上均为本司享有权利之合法商标,未经本司书面授权,任何单位或个人不得使用上述商标,或将上述商标用作网站、媒体名称等。

【免责声明】

1、凡本网注明来源“东方网”或“东方新闻”或带有东方网LOGO、水印的所有内容,包括但不限于文字、图片、音频视频,版权均属本司所有,任何媒体、网站或其他任何形式的法律实体和个人未经本司书面授权均不得转载、链接或以其他方式复制传播。与我司签订有关协议或已经获得本司书面授权许可的媒体、网站或其他任何形式的法律实体和个人,应在授权范围内使用,且必须注明来源“东方网”。其目的在于传递更多信息,并不意味着本司赞同其观点或认可其内容的真实性。如果其他媒体、网站或其他任何形式的法律实体和个人使用,必须保留本司注明的“稿件来源”,并自负全部法律责任。如擅自篡改为“稿件来源:东方网”,本司将依法追究责任。

2、擅自使用东方网名义转载不规范来源的信息、版权不明的资讯,或盗用东方网名义发布信息,设立媒体账号等,本司将依法追究其法律责任。

3、鉴于本网发布主体、发布稿件来源广泛,数量较多,如因作者联系方式不详或其他原因未能及时与著作权拥有者取得联系,或著作权人发现本网转载了其拥有著作权的作品时,请主动来函、来电与本司联系,或与本司授权的中国文字著作权协会联系,提供相关证明材料,我方将及时处理。
中国文字著作权协会联系方式:
联系人:赵洪波 唐亚静
地 址:北京西城区珠市口西大街120号太丰惠中大厦1027-1036室
联系电话:010-65978917
邮 箱:wenzhuxie@126.com

4、本网所有声明以及其修改权、更新权及最终解释权均属本司所有。

【媒体合作】

本司为尊重保护著作权,鼓励有益于社会主义精神文明、物质文明建设的作品的创作和传播,促进互联网良性发展,本着平等互惠、资源共享的原则,诚邀各类媒体、网站、单位、个人与本网建立友好的合作关系。
媒体合作、内容转载请联系
联系人:杨老师
联系电话:021-22899781